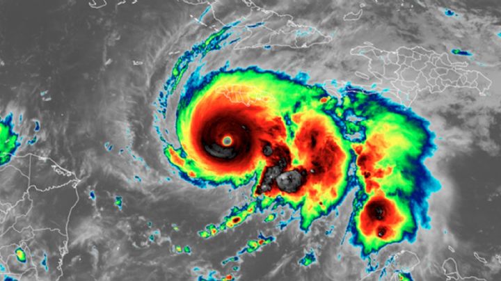
Huracán Melissa manda a 'volar' a hombre mientras intenta reforzar el techo de su casa | VIDEO
29/10/2025 | Las autoridades locales han emitido alertas extremas, instando a la población a protegerse, asegurar sus hogares y prepararse para posibles inundaciones