Extraño ‘agujero’ en el cielo sorprende a habitantes de Puebla; ¿de qué se trata?
12/11/2025 | Un ‘agujero’ circular o alargado dentro de la nube, con bordes bien definidos y una apariencia de vacío, apareció en Puebla
12/11/2025 | Un ‘agujero’ circular o alargado dentro de la nube, con bordes bien definidos y una apariencia de vacío, apareció en Puebla
29/10/2025 | Los investigadores lograron obtener información importante sobre el lugar, día y el registro en donde sucedió esta gran ola
18/3/2025 | En relación a las velocidades del viento, las ráfagas más fuertes registradas durante las últimas horas se han presentado de 70 a 82 kilómetros por hora
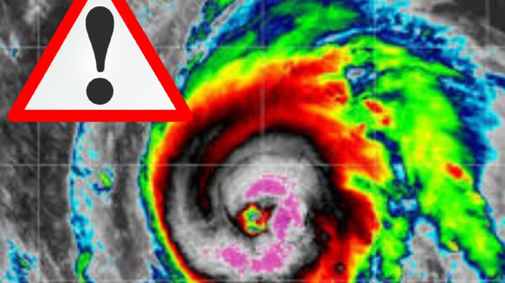
3/10/2024 | Tras el aumento de su poder de devastación, el Servicio Meteorológico Nacional (SMN) señaló en sus redes sociales que el ciclón tropical se mantiene en constante vigilancia
15/9/2024 | El Servicio Meteorológico Nacional ha anunciado un pronóstico de lluvias intensas que afectará a más de 20 estados del país; se esperan fuertes precipitaciones
8/9/2024 | ¡Prepara las chamarras! Las tormentas invernales provocan significativos descensos de temperatura.
13/7/2024 | De acuerdo al Servicio Meteorológico Nacional (SMN) para este año se tienen pronosticado de 15 a 18 ciclones tropicales en el Pacifico y de 20 a 23 en el Atlántico
1/7/2024 | Es fundamental estar atento al semáforo de alerta de huracanes, el cual tiene cinco fases, donde se indica la ubicación y cercanía del meteoro
12/6/2024 | Si se cumplen los pronósticos de un enfriamiento progresivo, tendría consecuencias devastadoras en el mundo